Du Nội Mai Lâm Đông Anh Hà Nội, Xã Mai Lâm, Huyện Đông Anh, Thành phố Hà Nội
Thông tin mô tả
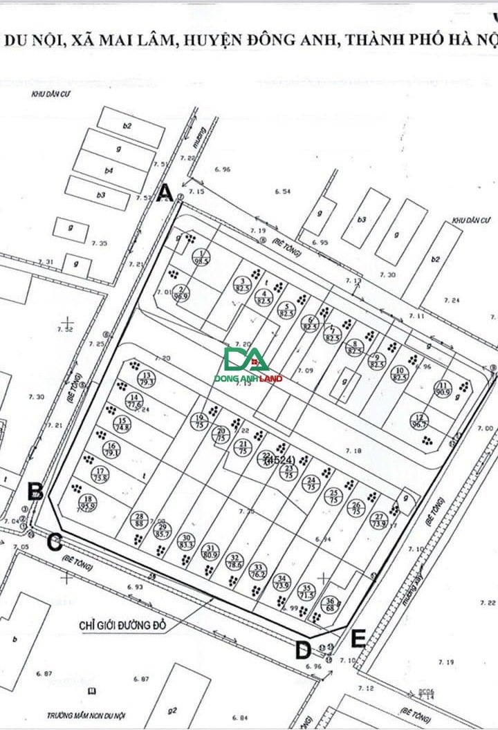
Bán đất đấu giá X5 Du Nội Mai Lâm Đông Anh
Diện tích 119.7 m2
Lô góc mặt tiền 6.3m
Vỉa hè 3m ô tô tránh
Vị trí đấu giá X5 Du Nội Mai Lâm Đông Anh :
Thuộc khu vực đang phát triển rầm rộ nhất của huyện , cách QL3 100m
Cách trung tâm Hà Nội 5p lái xe, sân bay Nội Bài 20p lái xe
Bán kính 400m là các trường tiểu học, trung học, chợ, siêu thị, nhà hàng quán ăn, tiện ích vô cùng đầy đủ
Cách cầu Đông Trù 3p lái xe
Liên hệ em Linh 0904070707 để xem đất và làm việc trực tiếp với chủ
Thông tin nổi bật
Giá (VND)
Liên hệ - Liên hệ/m²
Giấy tờ pháp lý
Sổ hồng
Hướng
Tây Nam
Diện tích
120 m² - DTSD: 119.7 m²
Loại bất động sản
Đất đấu giá - Đất Dịch Vụ
Mặt tiền
6.3m
Đường vào
7m
Tin tiêu điểm
Bất động sản liên quan
Các tin đăng bất động sản cùng khu vực
.png)
