X2 Hương Trầm, Thuỵ Lâm, Xã Thuỵ Lâm, Huyện Đông Anh, Thành phố Hà Nội
Thông tin mô tả
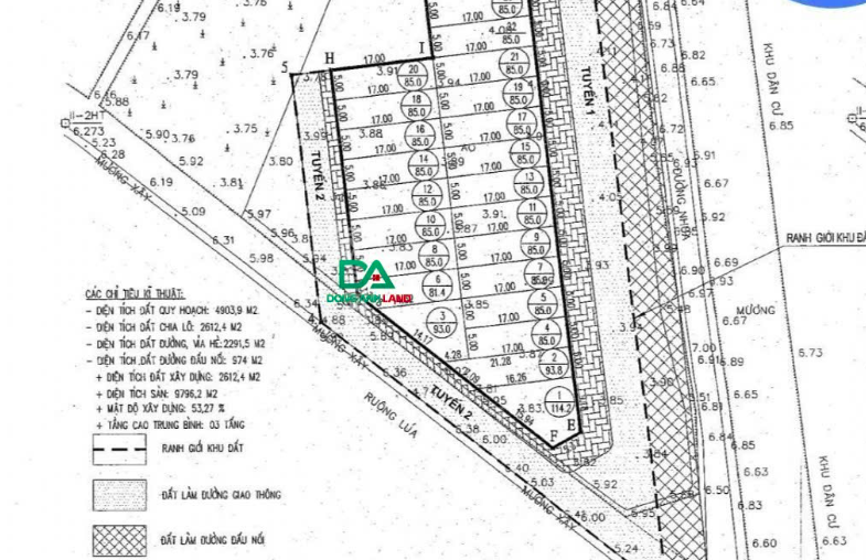
Bán đấu giá X2 Hương Trầm Thuỵ Lâm Đông Anh 85m2 giá tốt (Lô 20)
Thông tin bất động sản:
Tên : đấu giá X2 Hương Trầm Thụy Lâm
Địa chỉ: Thuỵ lâm
Giá: 8x triệu/m2
Diện tích: 85 m² - MT 5m
Bán 85m2 đất đấu giá X2 Hương Trầm, Thụy Lâm, Đông Anh.
Đường trước đất rộng trên 10m cả vỉa hè.
Cách đường Thụy Lâm 1km.
Cách đường Liên Hà 1,5km
Cách đường QL3B: 3km.
Từ vị trí đất trong bán kính từ 1-2km với đầy đủ tiện ích: Chợ thôn, UBND xã Thụy Lâm, trường mẫu giáo, trường cấp 1,2 Thụy Lâm. Dự án khu công nghiệp 600ha Xuân Nộn...
Chuẩn pháp lý, không tranh chấp, sổ sẵn sàng.
LH em Linh 0904070707 xem đất và đàm phán giá tốt.
Dịch vụ:
- Hỗ trợ vay vốn ngân hàng
- Nhận check QH 1/500 giá rẻ
- Nhận làm sổ đỏ giá rẻ
Thông tin nổi bật
Giá (VND)
6,97 tỷ - 82 triệu/m²
Giấy tờ pháp lý
Sổ hồng
Hướng
Tây
Diện tích
85 m² - DTSD: 85 m²
Loại bất động sản
Đất đấu giá - Đất Dịch Vụ
Mặt tiền
5m
Đường vào
10m
Tin tiêu điểm
Bất động sản liên quan
Các tin đăng bất động sản cùng khu vực
.png)
