Mua Bán Nhà Đất

Cho Thuê

Tìm kiếm nâng cao

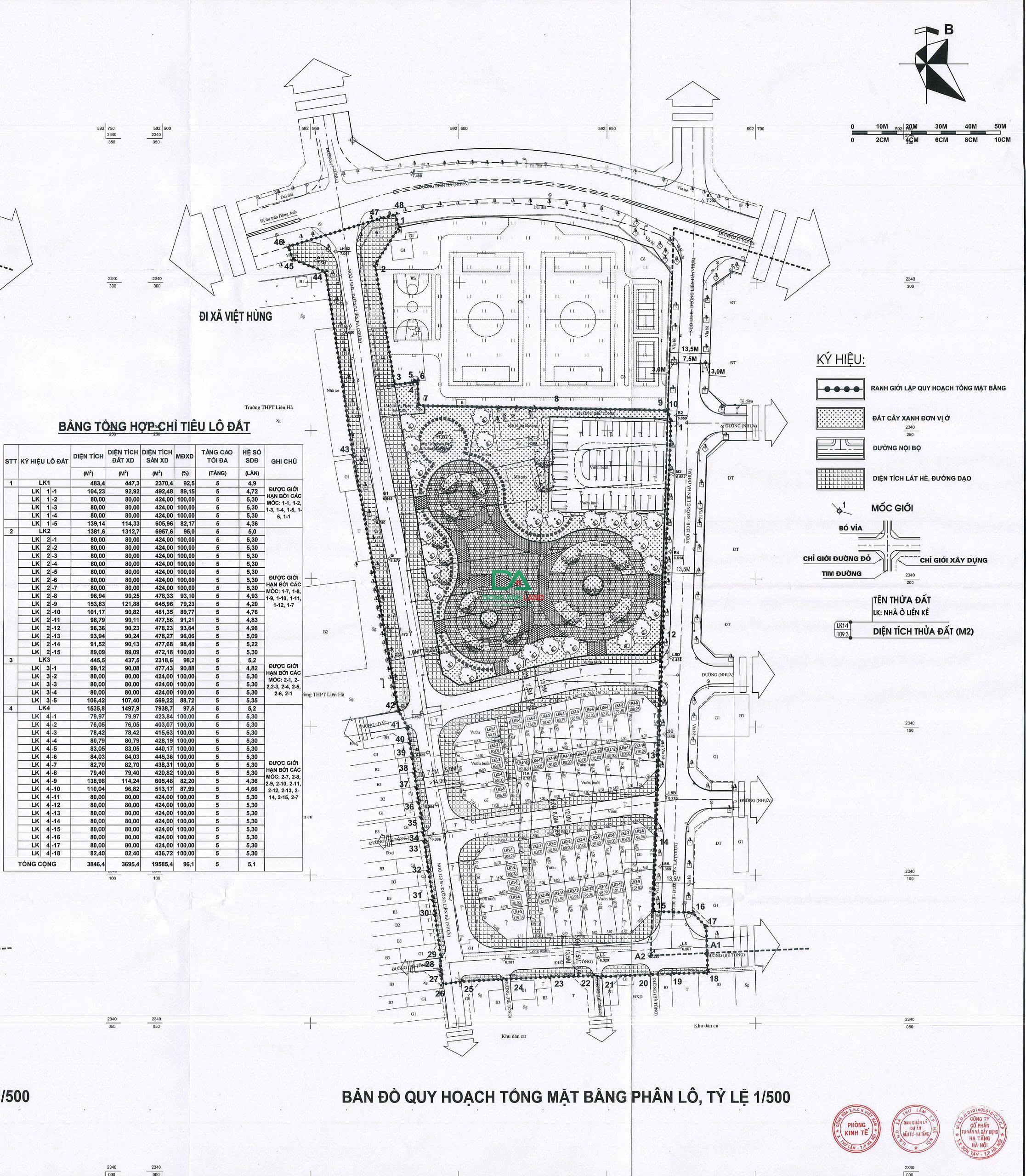
Dãy LK2 khu đất quy hoạch đẹp - Lô LK2-13 đấu giá Hà Hương xã Liên Hà

Hà Hương, xã Liên Hà, Xã Liên Hà, Huyện Đông Anh, Thành phố Hà Nội

Ngày đăng 22/01/2026Ngày hết hạn 21/02/2026

Thông tin mô tả

Dãy LK2 khu đất quy hoạch đẹp - Lô LK2-13 đấu giá Hà Hương xã Liên Hà

Lô LK2-13 nằm trong khu đấu giá quy hoạch 1/500, hạ tầng hoàn thiện, đường nội khu rộng rãi, vỉa hè thoáng.

Diện tích 93,94m², mặt tiền 5,02m, hình thửa đẹp, thuận lợi xây nhà ở lâu dài hoặc đầu tư sinh lời.

Vị trí gần công viên cây xanh, khu sinh hoạt cộng đồng, không gian sống trong lành, yên tĩnh.

Khu dân cư hiện hữu, an ninh tốt, giao thông kết nối nhanh ra các trục đường chính và trung tâm khu vực.

Pháp lý chuẩn đất đấu giá, không vướng QH

Liên hệ em Linh 0904.07.07.07 xem đất và làm việc chính chủ.

Thông tin nổi bật

Giá (VND)

Liên hệ - Liên hệ/m²

Hướng

Đông Nam

Diện tích

93.94 m² - DTSD: 93.94 m²

Loại bất động sản

Đất đấu giá - Đất Dịch Vụ

Mặt tiền

5.02m

Đường vào

13m

Tin tiêu điểm