Đấu giá Hà Hương xã Thư Lâm, Xã Liên Hà, Huyện Đông Anh, Thành phố Hà Nội
Thông tin mô tả
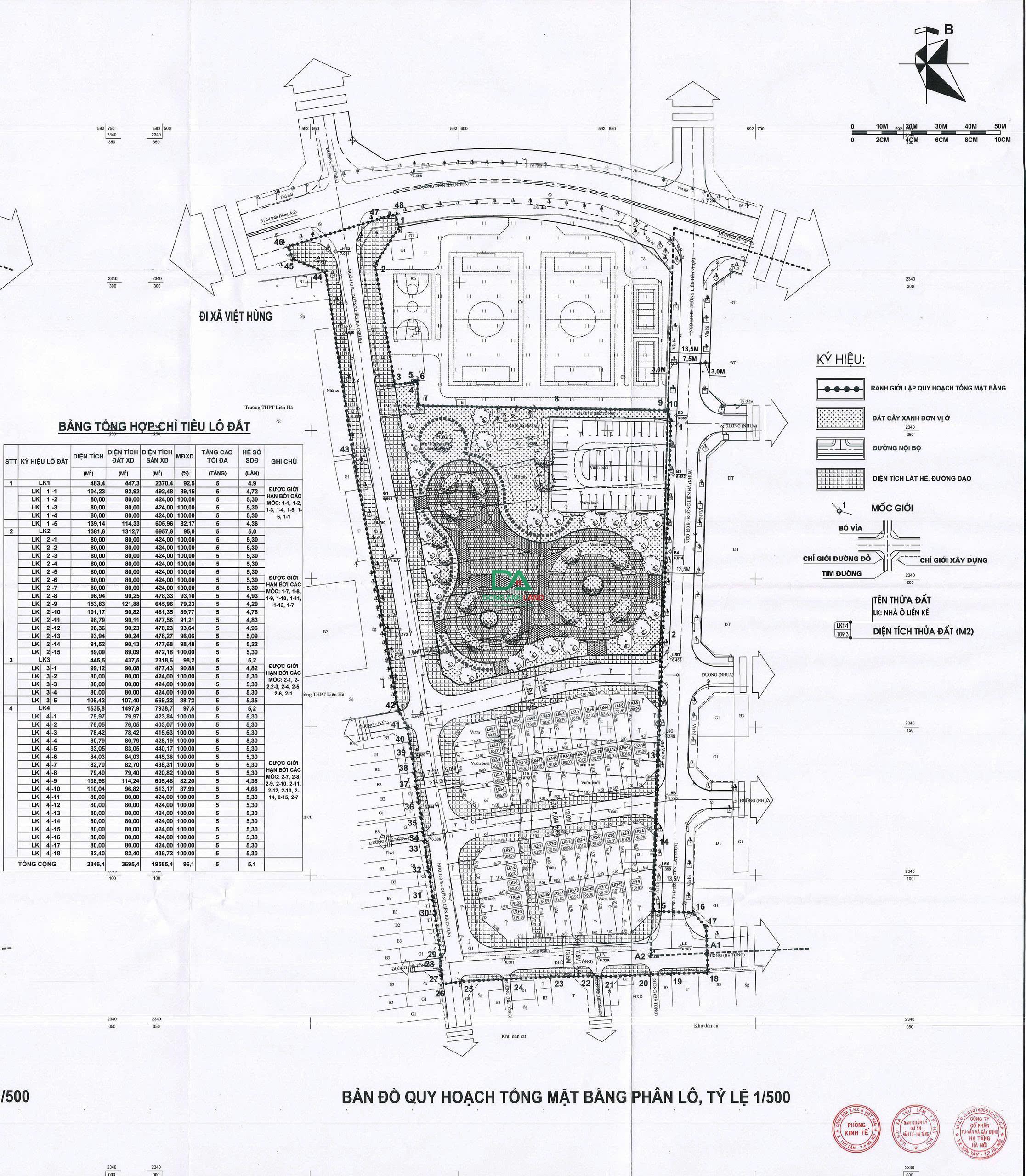
LK2-11 khu đấu giá quy hoạch đồng bộ - Vị trí lô đất tại Hà Hương xã Thư Lâm
Lô LK2-11, khu phân lô theo quy hoạch 1/500
Diện tích: 98,29m²
Mặt tiền: 5,02m, vuông vắn, dễ xây
Đường trước đất: rộng 13,5m, ô tô tránh, hạ tầng hoàn chỉnh
Gần khu công viên cây xanh trung tâm, khu thể thao, không gian sống thoáng mát
Kết nối thuận tiện trục đường lớn, dân cư hiện hữu, an ninh tốt
Pháp lý: đất đấu giá, sổ đỏ chính chủ, xây dựng tự do
Phù hợp ở thực, đầu tư giữ tiền, kinh doanh nhỏ – tiềm năng tăng giá rõ rệt theo quy hoạch.
Liên hệ em Linh 0904.07.07.07 xem đất & làm việc chính chủ.
Thông tin nổi bật
Giá (VND)
Liên hệ - Liên hệ/m²
Hướng
Đông Nam
Diện tích
98.79 m² - DTSD: 98.79 m²
Loại bất động sản
Đất đấu giá - Đất Dịch Vụ
Mặt tiền
5.02m
Đường vào
13m
Tin tiêu điểm
Bất động sản liên quan
Các tin đăng bất động sản cùng khu vực
.png)
