đấu giá hà Hương liên hà, Xã Liên Hà, Huyện Đông Anh, Thành phố Hà Nội
Thông tin mô tả
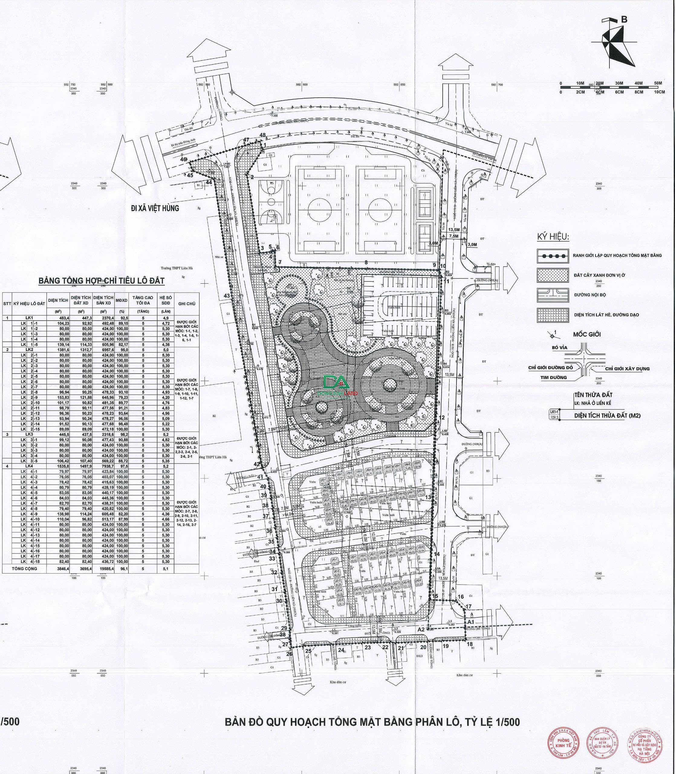
Lô LK2-12 – vị trí đẹp trong khu đấu giá quy hoạch 1/500 | Đấu giá thôn Hà Hương xã Liên Hà
Lô LK2-12 thuộc dãy LK2, khu dân cư quy hoạch đồng bộ, đường nội khu rộng, hạ tầng hoàn thiện
Diện tích 96,36m², mặt tiền 5,02m, đất vuông vắn, xây nhà ở hay đầu tư đều rất phù hợp
Khu vực nằm gần công viên cây xanh, khu thể thao, không gian thoáng, dân cư đã về ở ổn định.
Kết nối thuận tiện ra các trục đường lớn, trung tâm hành chính, trường học, chợ.
Đất đấu giá, pháp lý rõ ràng, sổ đỏ chính chủ, thanh khoản tốt.
Liên hệ em Linh 0904.07.07.07 xem đất và làm việc chính chủ.
Thông tin nổi bật
Giá (VND)
Liên hệ - Liên hệ/m²
Hướng
Đông Nam
Diện tích
96.36 m² - DTSD: 96.36 m²
Loại bất động sản
Đất đấu giá - Đất Dịch Vụ
Mặt tiền
5.02m
Đường vào
13m
Tin tiêu điểm
Bất động sản liên quan
Các tin đăng bất động sản cùng khu vực
.png)
