Sơ đồ và vị trí khu đất đấu giá X7 Lỗ Khê Liên Hà Đông Anh
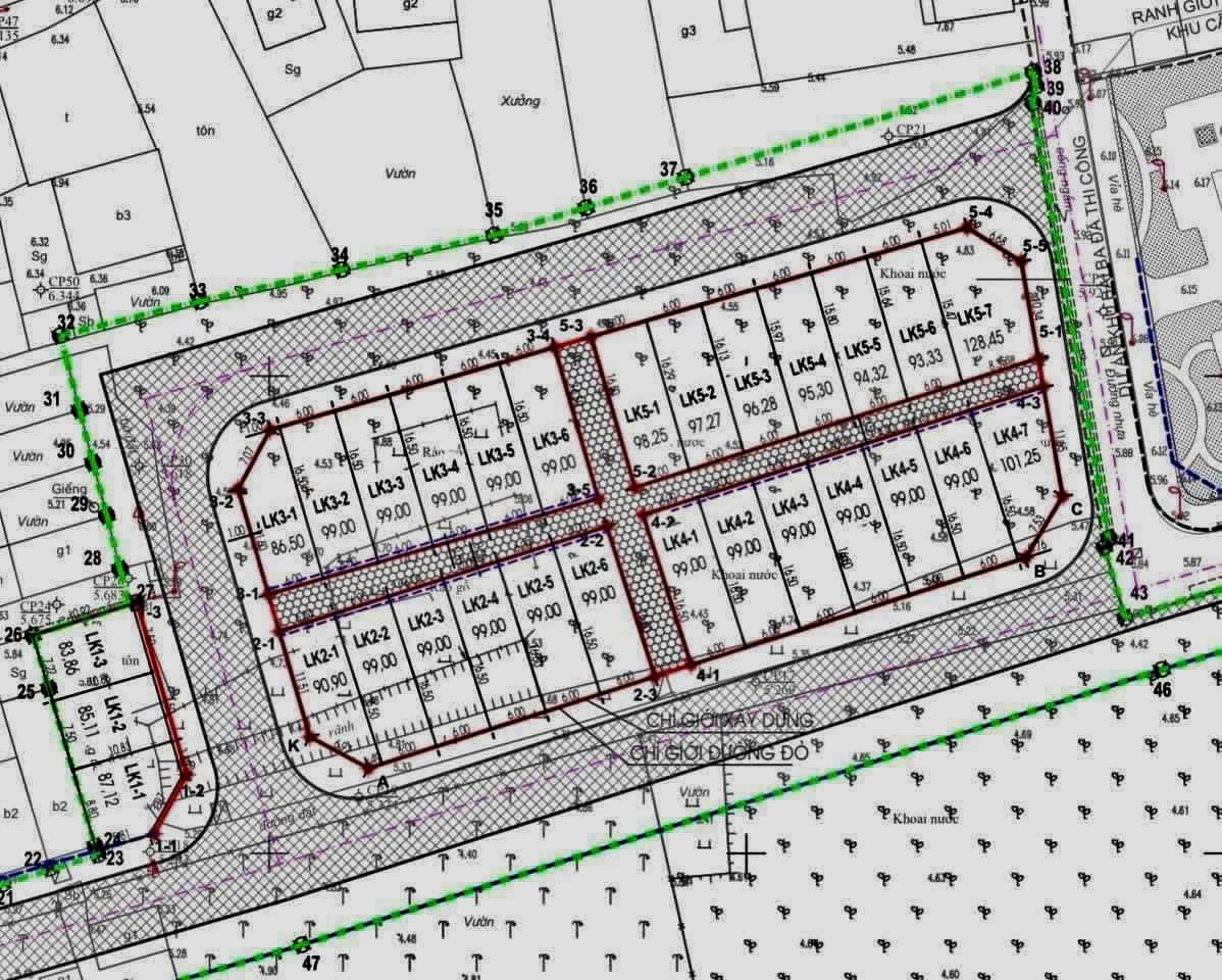
Sơ đồ khu đất đấu giá X7 Lỗ Khê
Tổng số lô: 26 lô đất
Diện tích 86.5m2 - 128.45m2
Mặt tiền 6m, các lô đất vuông vắn
Đường 13m có vỉa hè, ô tô tránh nhau thoải mái.
Hạ tầng đẹp, Quy hoạch VIP, đầy đủ hệ thống chiếu sáng, cây xanh, thoát nước,...
.png)
Vị trí khu đất đấu giá X7 Lỗ Khê
.png)
- Vị trí 'VÀNG' của xã Liên Hà vô cùng đắc địa, tiện ích đầy đủ bán kính 500m: Trường học cấp 1, cấp 2, cấp 3 Liên Hà và UBND xã, chợ Liên Hà.
- Đấu giá X7 Lỗ Khê Liên Hà Đông Anh là khu đấu giá có hạ tầng siêu đẹp, xung quanh có vườn hoa khu vui chơi và hồ điều hòa, nằm tại vỏ làng Lỗ Khê, đường thông ô bàn cờ, vỉa hè rộng.
- Gần trường cấp 3 Liên Hà.
- Gần chợ gỗ Đồng Kỵ lớn nhất miền Bắc tiềm năng kinh tế phát triển vượt bậc.
- Cách đường vành đai 3 sắp triển khai chỉ 1,5km.
- Gần đường liên tỉnh nối Hà Nội và Bắc Ninh, giao thông thuận tiện
- Khu vực phát triển xung quanh dân cư đông đúc, dân trí cao, kinh doanh buôn bán sầm uất. Khu vực kinh doanh đồ gỗ xuất khẩu giàu có bậc nhất Đông Anh.
- Mua để ở thì 'tuyệt vời' mua để đầu tư trước khi lên quận chỉ có “thắng lợi”
.png)
.png)
.png)
.png)
.png)
.png)
.png)
.png)
Liên hệ em Linh 0904.07.07.07 xem đất đấu giá Lỗ Khê Liên Hà và "Sơ đồ và vị trí khu đất đấu giá X7 Lỗ Khê Liên Hà Đông Anh"
Xem thêm:
1. Xem các lô chính chủ gửi bán đấu giá khu đất X7 Lỗ Khê tại đây.
2. Xem thêm video X6 Nguyên Khê Đông Anh tại đây.
#donganhland
#bandatdonganh
#batdongsandonganh
#daugiadonganh
#daugiax7lokhe
#bandatlienha
#daugialokhe
.png)
