Đấu giá Hà Hương xã Thư Lâm, Xã Liên Hà, Huyện Đông Anh, Thành phố Hà Nội
Thông tin mô tả
Đất đấu giá xã Thư Lâm - Khu đất Hà Hương Liên Hà Đông Anh | Thông báo tổ chức đấu giá mới nhất 2026
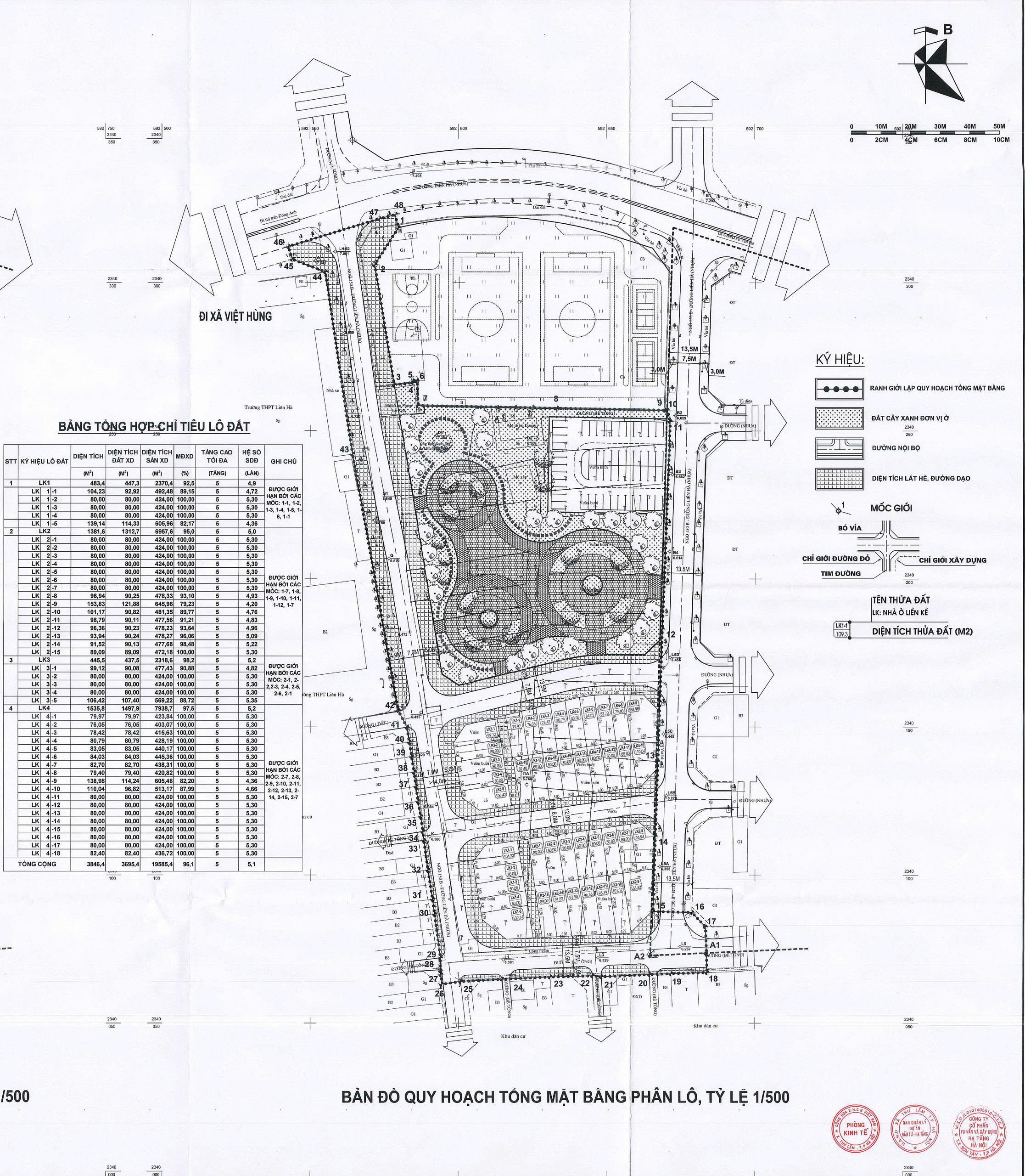
UBND xã Thư Lâm phối hợp Công ty Đấu giá Hợp danh Số 5 – Quốc gia tổ chức đấu giá đất Hà Hương Liên Hà, thuộc các ô đất LK2, LK3, LK4, vị trí đẹp, pháp lý rõ ràng, tiềm năng đầu tư tốt.
Thời gian bán & tiếp nhận hồ sơ: từ 19/01/2026 đến 04/02/2026
Thời gian tổ chức đấu giá: ngày 07/02/2026
Địa điểm đấu giá: UBND xã Thư Lâm, Hà Nội
Các thửa đất có diện tích đa dạng, giá khởi điểm hợp lý, phù hợp cho nhà đầu tư và người dân có nhu cầu an cư lâu dài tại khu vực Liên Hà Thư Lâm – cửa ngõ phát triển phía Bắc Hà Nội - Đất đấu giá xã Thư Lâm - Khu đất Hà Hương Liên Hà Đông Anh
Liên hệ em Linh – 0904070707 để được tư vấn chi tiết về giá đất khu vực Hà Hương Liên Hà, tiềm năng đầu tư và quy hoạch xung quanh.
Thông tin nổi bật
Giá (VND)
Liên hệ - Liên hệ/m²
Hướng
Nam
Diện tích
80 m² - DTSD: 80 m²
Loại bất động sản
Đất đấu giá - Đất Dịch Vụ
Mặt tiền
5m
Đường vào
12m
Tin tiêu điểm
Bất động sản liên quan
Các tin đăng bất động sản cùng khu vực
.png)
